Norfolk Island’s Green Sea Turtles

A welcome visitor to Emily and Slaughter Bay is the green sea turtle - Chelonia mydas.

The following blog posts are about our resident turtles:

 

Doing research?

I’ve often wondered how many turtles visit Norfolk Island’s main lagoon of Slaughter and Emily Bays and suspect it is more than we think. Below are some images of sightings and the dates. I have many more on file and would be happy to provide these to anyone doing academic research on Norfolk Island’s turtles and their health. You can contact me via this website.

Scroll down the page to see images of Doris, the sick turtle found in Emily Bay in late August 2022.


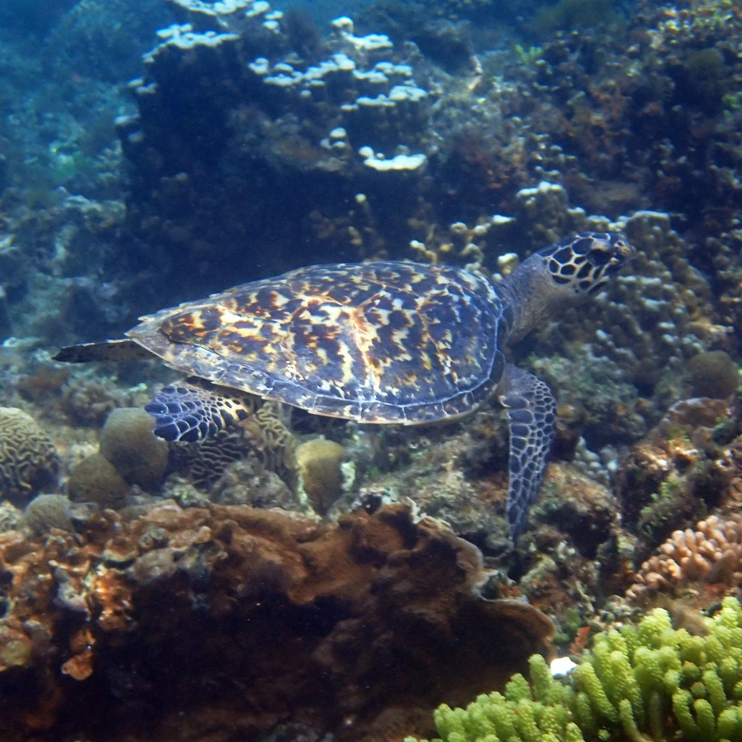
Hawksbill Turtles

The story of Doris, in photos

Doris was found sick in Emily Bay in late August 2022. In Greek mythology, Doris is a sea goddess who represents the fertility of the ocean – the goddess of the rich fishing grounds found where fresh water mingles with the brine. It seems an apt name for our little green sea turtle (Chelonia mydas), found, as she was, where the freshwater stream mixes with the salty waters of Emily Bay, hiding under a coral ledge, sick, weak and underweight. You can read her full story here: #OperationDoris – Green Sea Turtle Rescue.

29 August 2022

I managed to get the first photos of Doris and alerted Australian Marine Parks. It took a little while before we were able to find her again.

10 September 2022

Three of us went to find Doris. It was relatively easy as she was so sick and really had little strength to get away. NIgel Greenup, the National Parks manager on Norfolk Island, an authorised Ranger under the Commonwealth EPBC Act and a trained and experienced turtle and cetacean rescuer, is seen holding her here while I get some photos to send to the Cairns Turtle Rehabilitation Centre for a diagnosis and prognosis.

After this she was set free while Marine Parks officer Hannah Taylor decided what should be done and how we were going to do it.

12 September 2022

After assessing her, an emergency rehab centre was set up at the Parks office for Doris. A couple of days later we went back to rescue her so we could start the treatment she needed to restore her to the wild.

Doris on the day of her rescue, 12 September 2022.

Doris the turtle, 26 September 2022

 
 
 

2 October 2022

Doris began a regime of treatment, including ointment to the necrotic areas of her shell, of which there are plenty.

Doris having her treatment, 2 October 2022

12 October 2022

On this morning a group of us accompanied the visiting turtle vet, David Blyde, to look for the other resident turtles and see if we could ascertain their health. We saw three, so including Doris that makes at least four turtles visiting our bays.

That afternoon David along with our local vet Candice Nobbs operated on Doris to remove some of the worst necrosis.

Doris now